Swim with sharks???
Hell yes!!!
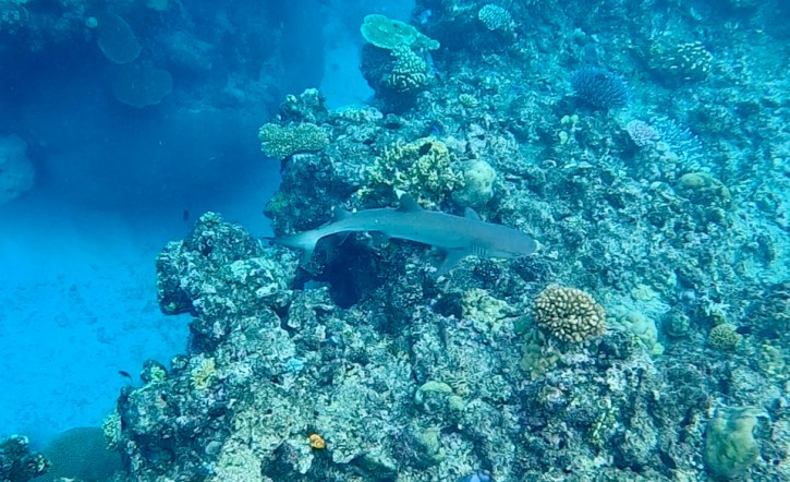
Janine and I couldn’t wait to get to Shark Reef. She has history with sharks and was probably more excited than I. Her dad was a shark diver and always told her “Any day you swim with sharks is a great day.” Warm water, sharks, Janine and my GoPro = great day!
Click below on the Gallery for larger photos.























